无障碍链接

中国时间 10:10 2025年11月5日 星期三

夏威夷迎来4级飓风 民众抢购生活物资


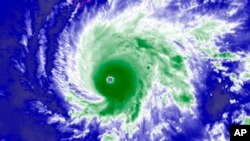
卫星图像显示飓风“莱恩”继续向夏威夷州逼近
卫星图像显示飓风“莱恩”继续向夏威夷州逼近

夏威夷州的居民正在囤积物资,并前往地势较高的地区,以应对飓风“莱恩”引发的大雨、洪水和巨浪的威胁。目前飓风“莱恩”继续向夏威夷州逼近。

美国国家气象局(NWS)在最新的天气预报中说,飓风“莱恩”仍属于4级飓风,最大持续风速接近每小时240公里。他们预计风暴中心将于周四到周六逼近夏威夷,可能会造成潜在的生命威胁。

夏威夷州州长大卫·伊艺(David Ige)说,联邦紧急事务管理署(FEMA)在分配紧急物资上做得很好。

他说:“联邦紧急事务管理署一直非常积极地推进,回应来自全州各郡县对食品、水和应急设备的需求。”

美国国家气象局表示,即便飓风“莱恩”的风眼不再夏威夷登陆,夏威夷州诸岛屿也会遭到风雨袭击。气象局表示,飓风风力从中心向外延伸65公里,热带风暴风力向外延伸220公里。

预计在未来两天内,飓风的强度将有所减弱,但因为通道靠近夏威夷州,飓风“莱恩”仍然很危险。

夏威夷大岛和茂宜郡的公立学校关闭,直至另行通知。

XS
SM
MD
LG